{"_id":"5e86e95b8ebc3e77b257b123","slug":"most-expensive-vegetable-in-the-world-hop-shoots-cost-82000-rupees-a-kilo","type":"photo-gallery","status":"publish","title_hn":"दुनिया की सबसे महंगी सब्जी, खरीदना तो दूर कीमत जानकर ही उड़ जाएंगे होश","category":{"title":"Bizarre News","title_hn":"हटके खबर","slug":"bizarre-news"}}
दुनिया की सबसे महंगी सब्जी, खरीदना तो दूर कीमत जानकर ही उड़ जाएंगे होश
फीचर डेस्क, अमर उजाला, नई दिल्ली
Published by: सोनू शर्मा
Updated Fri, 03 Apr 2020 01:31 PM IST
आमतौर पर सब्जियों की कीमतें मांस-मछली की कीमतों से कम ही रहती हैं, लेकिन दुनिया में एक ऐसी भी सब्जी है, जिसकी कीमत ही इतनी है कि बड़े से बड़े अमीर भी उसे खरीदने से पहले 10 बार सोचेंगे। इस सब्जी की कीमत 1000 यूरो प्रति किलो है यानी भारतीय रुपये के हिसाब से यह करीब 82 हजार रुपये प्रति किलो पड़ता है। अब आप सोच रहे होंगे कि आखिर इस सब्जी में ऐसा है क्या, जिससे इसकी कीमतें आसमान छू रही हैं। तो चलिए इसकी विशेषताओं के बारे में आपको विस्तार से बताते हैं...
Trending Videos
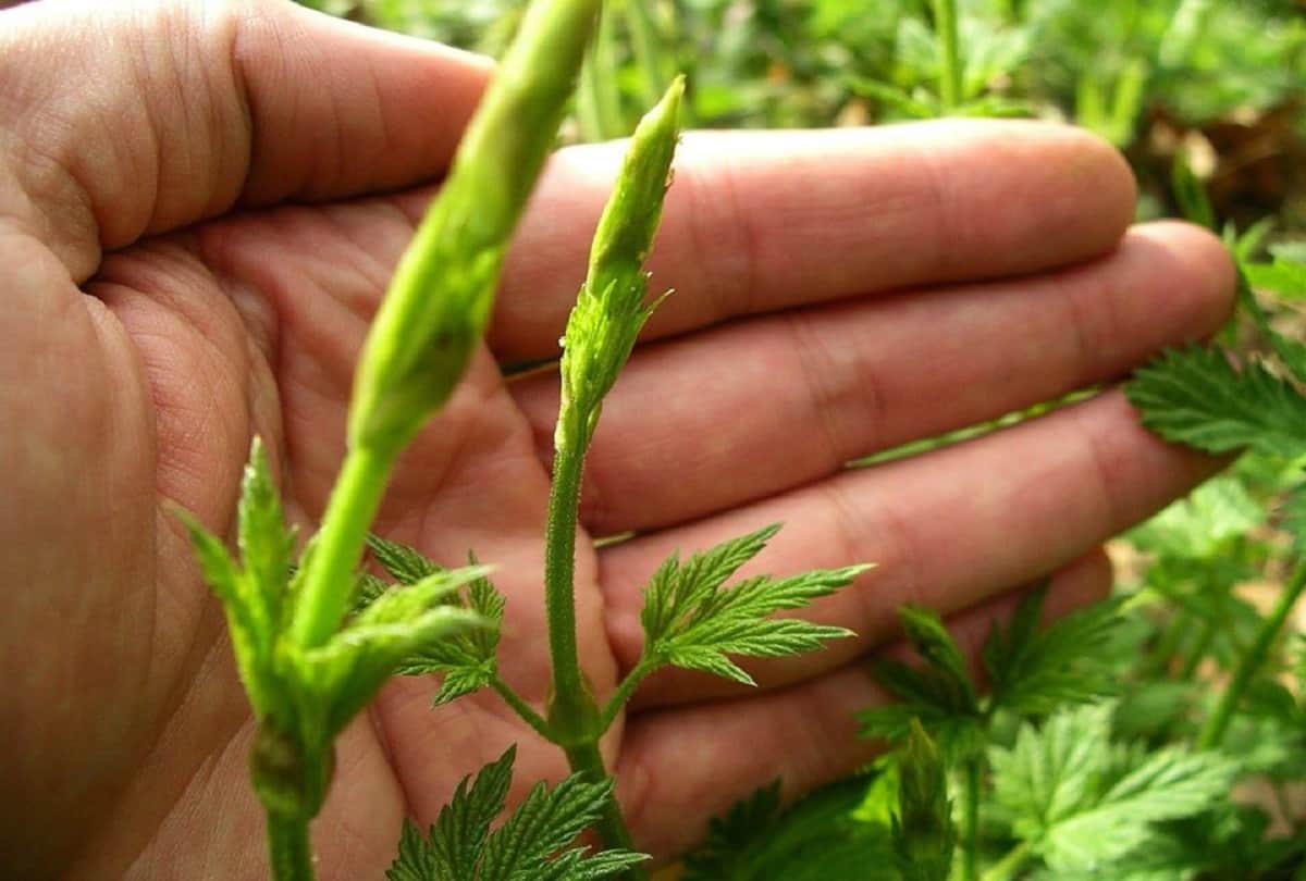
2 of 6
दुनिया की सबसे महंगी सब्जी
- फोटो : Social media
इस सब्जी का नाम है 'हॉप शूट्स' और इसका जो फूल होता है, उसे 'हॉप कोन्स' कहते हैं। दरअसल, इसके फूल का इस्तेमाल बीयर बनाने में किया जाता है जबकि बाकी टहनियों को खाने के तौर पर इस्तेमाल किया जाता है। महंगी होने की वजह से शायद ही यह सब्जी किसी बाजार या स्टोर में दिखती हो।
विज्ञापन
विज्ञापन
3 of 6
हॉप शूट्स का पौधा
- फोटो : Social media
'हॉप शूट्स' औषधीय गुणों से भरपूर होता है, इसीलिए इसका इस्तेमाल जड़ी-बूटी के तौर पर भी किया जाता है। दांत के दर्द में यह काफी कारगर होता है। इसके अलावा टीबी जैसी गंभीर बीमारी के इलाज में भी इसका इस्तेमाल होता है। इसमें एंटीबायॉटिक के गुण पाए जाते हैं।
4 of 6
हॉप शूट्स
- फोटो : Social media
'हॉप शूट्स' को लोग कच्चा भी खाते हैं। हालांकि यह काफी कड़वा होता है। इसकी टहनियों का इस्तेमाल सलाद के तौर पर किया जाता है। इसका अचार भी बनाया जा सकता है, जो खाने में काफी स्वादिष्ट और फायदेमंद होता है।
विज्ञापन
5 of 6
हॉप शूट्स
- फोटो : Social media
'हॉप शूट्स' के औषधीय गुणों की पहचान सदियों पहले हो गई थी। करीब 800 ईस्वी के आसपास लोग इसे बीयर में मिलाकर पीते थे और यह सिलसिला अब तक चला आ रहा है। सबसे पहले इसकी खेती उत्तरी जर्मनी में शुरू हुई और उसके बाद यह धीरे-धीरे पूरे विश्व में फैल गया। इसकी खूबियों को देखते हुए 18वीं सदी की शुरुआत में इंग्लैंड में इसपर टैक्स (कर) भी लगाया गया था। साथ ही यह भी अनिवार्य कर दिया गया था कि बीयर बनाने में इसका इस्तेमाल जरूर हो, ताकि उसका स्वाद बढ़ जाए।
रहें हर खबर से अपडेट, डाउनलोड करें Android Hindi News App, iOS Hindi News App और Amarujala Hindi News APP अपने मोबाइल पे| Get all Bizarre News in Hindi related to Weird News - Bizarre, Strange Stories, Odd and funny stories in Hindi etc. Stay updated with us for all breaking news from Bizarre and more news in Hindi.
विज्ञापन
विज्ञापन
एड फ्री अनुभव के लिए अमर उजाला प्रीमियम सब्सक्राइब करें
Next Article
Disclaimer
हम डाटा संग्रह टूल्स, जैसे की कुकीज के माध्यम से आपकी जानकारी एकत्र करते हैं ताकि आपको बेहतर और व्यक्तिगत अनुभव प्रदान कर सकें और लक्षित विज्ञापन पेश कर सकें। अगर आप साइन-अप करते हैं, तो हम आपका ईमेल पता, फोन नंबर और अन्य विवरण पूरी तरह सुरक्षित तरीके से स्टोर करते हैं। आप कुकीज नीति पृष्ठ से अपनी कुकीज हटा सकते है और रजिस्टर्ड यूजर अपने प्रोफाइल पेज से अपना व्यक्तिगत डाटा हटा या एक्सपोर्ट कर सकते हैं। हमारी Cookies Policy, Privacy Policy और Terms & Conditions के बारे में पढ़ें और अपनी सहमति देने के लिए Agree पर क्लिक करें।